Description
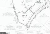
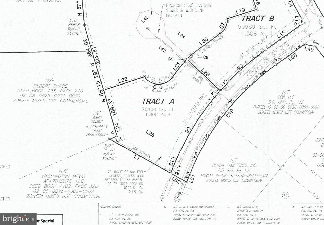
Looking for a commercial opportunity in the fast-growing, high-density, north end of Martinsburg, but can't stomach the prices of the other options? This 1.8 acre property (Tract A), zoned Mixed-Use Commercial (MUC), offers the possibility to get into this space for around half the price of many of the other currently available options. Permitted uses include general retail, convenience stores, food & beverage, group residential housing, hotels, government facilities, multi-family dwellings, schools, AND MANY OTHERS - see View Docs for the Zoning Ordinance. This property fronts over 300' on Forbes Dr (paved) and backs DIRECTLY up to DRB Homes' 170+/- townhome community known as The Villages at Courthouse Square. Access to this property from Edwin MIller Boulevard would be via the Edwin Miller Blvd and Raleigh St extension intersection (which already has a stoplight) or the Edwin Miller Blvd and Courthouse Dr intersection (which is soon getting a stoplight). An adjacent tract (1.3 Acre Tract B), which also fronts 300'+ on Forbes Dr, and also backs DIRECTLY up to DRB Homes' townhome community, is also available for purchase for $350,000.
Description
Looking for a commercial opportunity in the fast-growing, high-density, north end of Martinsburg, but can't stomach the prices of the other options? This 1.8 acre property (Tract A), zoned Mixed-Use Commercial (MUC), offers the possibility to get into this space for around half the price of many of the other currently available options. Permitted uses include general retail, convenience stores, food & beverage, group residential housing, hotels, government facilities, multi-family dwellings, schools, AND MANY OTHERS - see View Docs for the Zoning Ordinance. This property fronts over 300' on Forbes Dr (paved) and backs DIRECTLY up to DRB Homes' 170+/- townhome community known as The Villages at Courthouse Square. Access to this property from Edwin MIller Boulevard would be via the Edwin Miller Blvd and Raleigh St extension intersection (which already has a stoplight) or the Edwin Miller Blvd and Courthouse Dr intersection (which is soon getting a stoplight). An adjacent tract (1.3 Acre Tract B), which also fronts 300'+ on Forbes Dr, and also backs DIRECTLY up to DRB Homes' townhome community, is also available for purchase for $350,000.
©2026 Bright MLS, All Rights Reserved. IDX information is provided exclusively for consumers' personal, non-commercial use and may not be used for any purpose other than to identify prospective properties consumers may be interested in purchasing. Some properties which appear for sale may no longer be available because they are for instance, under contract, sold, or are no longer being offered for sale. Information is deemed reliable but is not guaranteed accurate by the MLS or Taylor-Made Deep Creek Real Estate. Some real estate firms do not participate in IDX and their listings do not appear on this website. Some properties listed with participating firms do not appear on this website at the request of the seller. Data last updated: 2026-03-11T23:53:41.183.
